[ま]ぷるんにー!(พรุ่งนี้)

ぷるんにー(พรุ่งนี้)とはタイ語で「明日」。好きなタイやタイ料理、本や映画、ラーメン・つけ麺、お菓子のレビュー、スターバックスやタリーズなどのカフェネタからモレスキンやほぼ日手帳、アプリ紹介など書いています。明日はきっといいことある。

[ま]既に死亡例が3人 マダニが媒介するウィルス感染症(SFTS)にご注意を! @kun_maa

 

 

野山にいるマダニが媒介するウィルス感染症である「重症熱性血小板減少症候群SFTS)」のニュースが最近よく聞かれます。

f:id:kun-maa:20130213224137j:plain

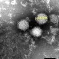
(SFTSウィルス)

 

すでに、山口、愛媛、宮崎各県で発表された死亡例に引き続き、SFTSウィルスによって死亡もしくは重篤な状態になった疑いのある例が5件、厚生労働省に報告されているといいます。

 

このSFTSウィルスは、2009年に中国で初めて発見されたそうですが、今回の死亡事例で発見されたウィルスは、中国のものとは遺伝子の構造が少し異なること、死亡した人たちに海外渡航歴がないことから国内で感染したものとみられています。

 

このウィルスに感染すると、6日〜2週間の潜伏期間を経て、38度以上の発熱、倦怠感、消化器症状(嘔吐、下痢、下血、腹痛など)が現れ、血小板や白血球の減少が見られるそうです。

感染は野山に生息するマダニ類に咬まれることで起こるということですが、患者の血液や体液との直接接触による感染例も報告されているとのこと。

このマダニ類は、衣類や寝具などに生息するダニ類とは違い、野山の草むら等に生息するので、感染を防ぐためには、草むらや薮などダニが生息する場所に入る時にダニに咬まれないよう、長袖、長ズボン、足を完全に覆う靴を履くなど肌の露出を極力少なくすることが重要だそうです。

 

ダニの活動が活発になるのは春から秋にかけてなので、これからはより注意が必要かもしれません。

まあ、普段の生活であまり草むらや薮に入ることは少ないかもしれませんが、感染源となるダニは青森以南の全国各地の野山(市街地の草むらなども含む)に生息しているそうなので、油断は禁物です。

 

厚生労働省の資料によると、現状ではワクチンは存在せず、有効な抗ウィルス薬も存在しないそうです。

したがって感染した場合は、症状に対する対処療法が唯一の治療となります。

致死率は約10〜30%。

 

こんなニュースを聞いちゃったら、春から夏にかけて草むしりとかするの怖くなっちゃったじゃないですか。

子どもたちも草むらなんかでよく遊びますよね。

今回のSFTSウィルスの発見は国内では初めての例なので、どの程度このウィルスが広がっているのかもわかりません。

現在、厚生労働省では各都道府県や政令市等に向けて、患者発生の情報提供や報告の依頼を行っているところです。

過剰反応かもしれませんが、状況がある程度判明するまでは、草むらや薮に入るのはできるだけ避けた方がいいかもしれませんね。

 

重症熱性血小板減少症候群(SFTS)患者の国内での確認状況|報道発表資料|厚生労働省

 

 

 

 
 
 
最後までお読みいただきありがとうございます。